
Tras la revolución de 1868, “La Gloriosa”, se produjeron en España profundos cambios políticos que llevaron al país del efímero reinado de Amadeo I (1871-1873) hasta la proclamación de la Primera República (1873-1874). De este último periodo es el tema que nos atañe: la primera Plaza de la República en Madrid.

Las otras Plazas de la República
En 1873, al inicio de la Primera República, se decide cambiar el nombre de la Plaza Mayor por el de Plaza de la República, manteniendo dicho nombre hasta la Restauración Borbónica, en la que regresaría al nombre que tenía en 1812: Plaza de la Constitución. También la Plaza de Oriente de Madrid se convertiría, durante la II República, en la Plaza de la República.
No obstante, cabe destacar que, por muchos nombres que les pongan a las plazas – los españoles somos de costumbres- y si se llama Mayor, Mayor se queda, pongan el nombre que pongan. Al igual que ocurre con otros singulares ejemplos de la fisonomía madrileña como Neptuno (Plaza Cánovas del Castillo) o Cibeles (antigua Plaza de Castelar).
La nueva Gran Plaza de la República
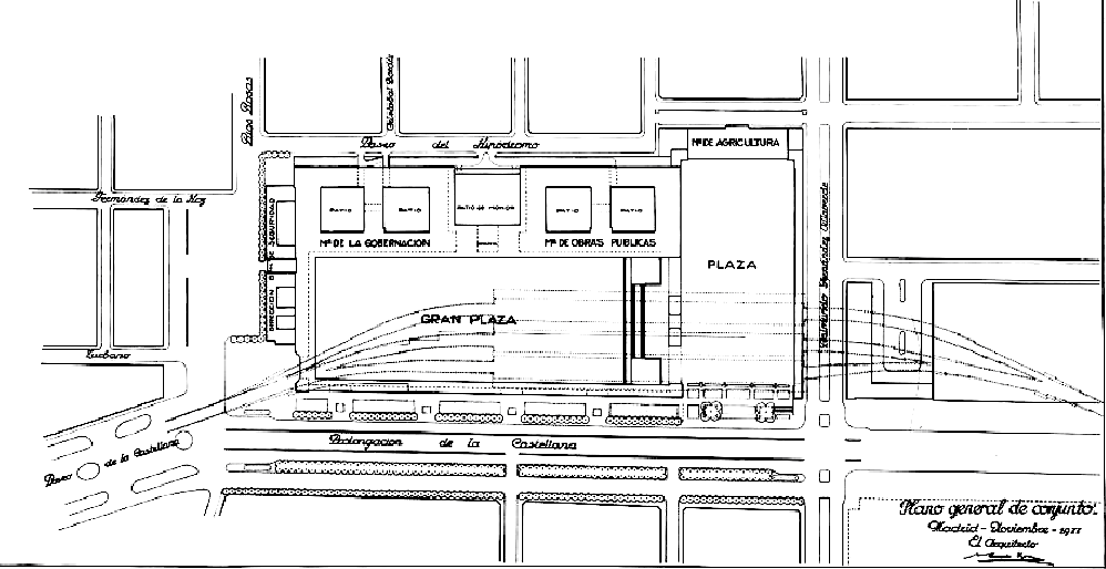
Pero el caso que nos ocupa, no es el de una plaza rebautizada: es el de una plaza “proyectada” , un espacio totalmente nuevo que sería representativo de la II República. En 1933, la prensa de la época anunciaba así la construcción de la “Gran Plaza de la República”:
Aquellos que habiten la capital, reconocerán a primera vista la zona… Efectivamente, se trata de la actual zona “Nuevos Ministerios”, dentro del distrito de Chamberí, y actual sede de los Ministerios de Fomento y de Empleo y Seguridad Social.
Este proyecto, era de vital importancia para la mayoría de los ciudadanos, ansiosos y expectante por ver los cambios que traía la República. ‘El Heraldo de Madrid’ se hacía eco de los planes urbanísticos que el nuevo gobierno ponía en la palestra y transmitía así la información sobre la edificación de la Gran Plaza:

La Gran Plaza de la República se compondría de “La plaza del Pueblo” y “La Plaza de la República”.
El arquitecto, Secundino Zuazo
Este proyecto fue realizado por el arquitecto Secundido Zuazo Ugalde, bajo encargo del Ministro de Obras Públicas, Indalecio Prieto. La elección del arquitecto estaba basada en un proyecto presentado con anterioridad a la proclamación de la II República, que tenía como objetivo la ampliación del paseo de la Castellana (1929)- que no llegó a materializarse, en el que colaboró el urbanista alemán Hermann Jansen.

Una propuesta dotada de soluciones racionalistas, pero que obviaba las barreras naturales de la zona. Tras la aprobación, en 1932, de la Ley de Capitalidad de Madrid, se le dio prioridad a la modernización de la ciudad y a dotar a la capital de nuevas y modernas sedes para los ministerios del gobierno republicano.

La principal razón, y motivo, por el cual la Oficina Municipal de Urbanismo se hizo cargo del proyecto, fue la necesidad de la expansión de la ciudad hacia el norte.

Como parte de este proyecto de expansión se procedió a la demolición del Hipódromo de la Castellana porque constituía un impedimento para obras de tal magnitud, aunque ya estaba prevista su “desamortización” en 1932, que incluían enlaces ferroviarios proyectados también por Zuazo, que aparte del arquitecto del proyecto, era miembro de la Comisión de Enlaces Ferroviarios.
La primera piedra de los Nuevos Ministerios de Madrid
La primera piedra del complejo de ministerios republicanos se puso el 15 de abril de 1933. Posteriormente y a pesar de lo avanzado del proyecto, en 1936 con motivo del inicio de la Guerra Civil, la obra quedó paralizada y la plaza inacabada. El precursor de este diseño, el arquitecto Zuazo, vio prudente huir de la capital y refugiarse en Francia, debido a su filiación al Partido Comunista.
El plan urbanístico de la zona quedó en manos del nuevo régimen que realizó modificaciones tan radicales como la eliminación del gran edificio para Agricultura y la sustitución de ladrillo por granito.

Se rumorea, en el Madrid más profundo (por nombrar de alguna manera a la gente que se inventa bulos), que el complejo arquitectónico representaba los símbolos de la Unión Soviética. Y, como del dicho al hecho hay un trecho, observen los bocetos del proyecto adjuntos en este artículo y juzguen ustedes mismos.
Finalmente, las obras terminaron en 1942, desapareciendo todo rastro del nombre con el que se hubiera conocido esta Plaza, La “Gran Plaza de la República”.

Fuentes:
Hemeroteca digital de la Biblioteca Nacional de España
Archivo Prensa Histórica del Ministerio de Cultura
Zuanzo, Arquitecto del Madrid de la II República ( proyecto online de la BNE: http://www.bne.es/es/Actividades/Exposiciones/Exposiciones/Exposiciones2006/docs/zuazo/ )



